登頂年度風王!辛樂克破紀錄「35年最強4月颱」 大甩尾飆車「最新路徑曝光」
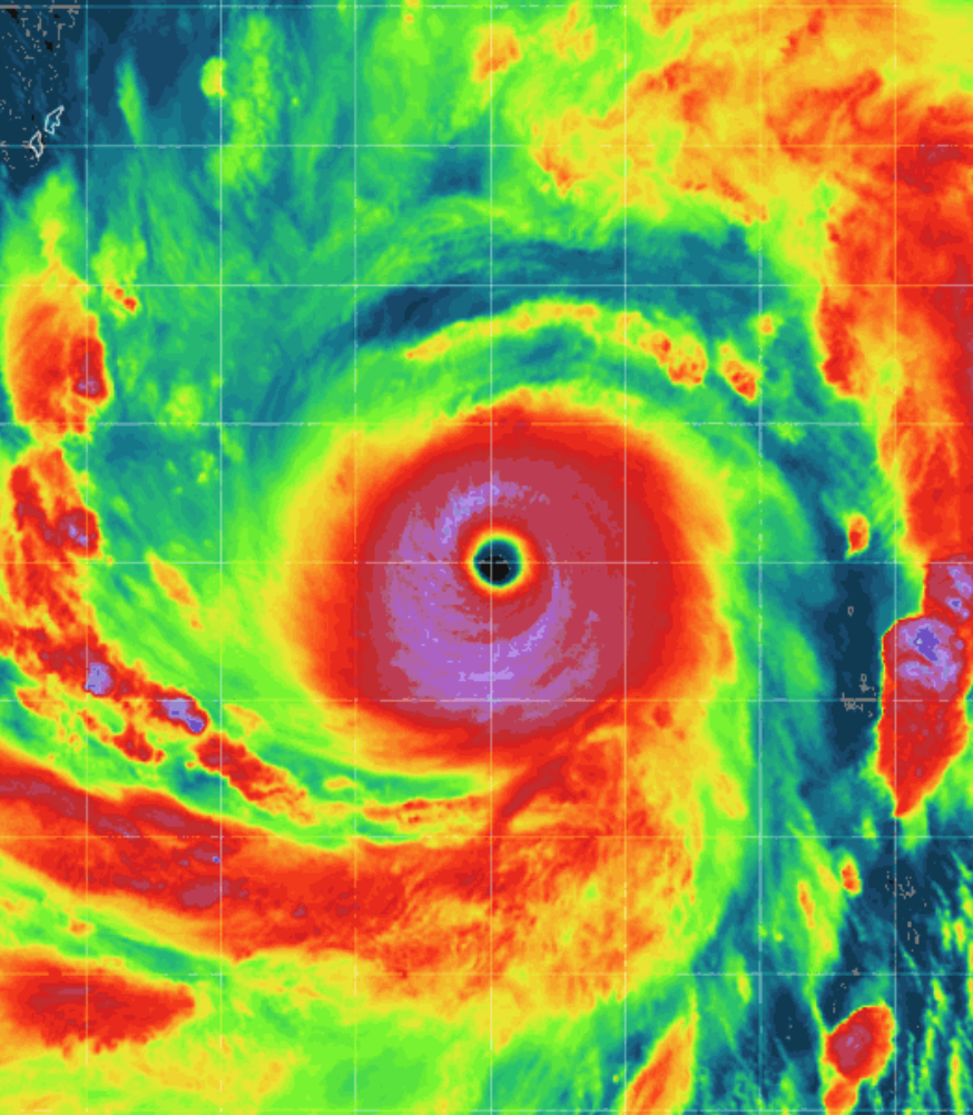
根據《ETtoday新聞雲》報導,今年第4號颱風「辛樂克」威力驚人,已晉升為2026年度最強「風王」!氣象專家吳聖宇透露,氣象署於週(12)日夜間更新數據,將辛樂克的中心最大風速上修至每秒60公尺,7級風暴風範圍更擴大到半徑350公里,刷新多項歷史紀錄。

圖片來源:easterlywave
Advertisements
這個超級颱風有多驚人?自從1991年氣象署改用10分鐘平均風速作為颱風強度評估標準後,辛樂克已成為有紀錄以來威力最猛的4月颱風。若回溯更早的氣象資料,它的暴風半徑更是1958年迄今所有4月颱風中最廣的一個,堪稱歷史等級的超大颱風。

圖片來源:氣象署
吳聖宇在社群平台上分析,辛樂克的颱風結構堪稱完美典範,透過衛星雲圖掃描,可以清楚辨識出眼牆、主要雨帶與次要雨帶等典型特徵,目前看來即將進入眼牆置換的關鍵階段。中央氣象署也補充,辛樂克颱風目前以每小時17公里速度向西北西移動,中心氣壓降至895百帕,瞬間最大陣風達每秒75公尺,路徑預計將出現大迴轉,對台灣無直接影響。